| 1 |
2 |
3 |
4 |
5 |
6 |
| Landsatbild
ohne eigene Ergänzungen |
Wälder
und Städte im Grossraum Speyerbach |
Das
Bachsystem, einfach |
Das
Bachsystem farbig unterlegt |
Einzugsgebiet
Übersicht |
Einzugsgebiet
Detail |
 |
 |
 |
 |
 |
 |
| |
|
|
|
|
|
| 7 |
8 |
9 |
10 |
11 |
12 |
| Nur
das Speyerbachsystem |
Überblick
mit Wald und Städten |
Bach
im Detail, ohne Beschriftung |
Bach
im Detail-1, mit Beschriftung |
Kleine
Orte am Speyerbachlauf |
Wichtige
Seitenbäche |
 |
 |
 |
 |
 |
 |
| |
|
|
|
|
|
| 13 |
14 |
15 |
16 |
17 |
18 |
| Besonderheiten
des Bachlaufs |
Kilometrierung
des WWA Mainz |
Höhenschichtung
des Bachumfeldes |
Bachläufe
in Rheinland - Pfalz |
Landschaften
im Pfälzerwald |
Landschaftsgl.
in der Rheinebene |
 |
 |
 |
 |
 |
 |
| |
|
|
|
|
|
| 19 |
20 |
21 |
22 |
23 |
24 |
| Einflussbereiche
des Speyerbachs und benachbarter Bäche |
Jahresdurchschn.-
Temp. im Einzugsgebiet des Speyerbaches |
Waldgebiete |
Weinanbau
und Verbreitung der Esskastanie |
Raumordnungs-
plan
|
Wälder
im Bereich der Schwemmkegel pfälzischer Bäche in der Rheinebene |
 |
 |
 |

|
 |
 |
| |
|
|
|
|
|
| 25 |
26 |
27 |
28 |
29 |
30 |
| Zentrale
Orte und Gemeindefunktionen im Bereich des Pfälzer Waldes |
Geologischer
Schnitt im Bereich des Speyerbaches in der Rheinebene |
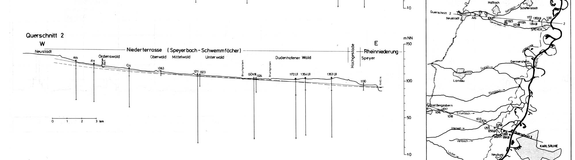
Längsschnitt
im Bereich des Speyerbaches von Neustadt/Weinstrasse bis Speyer |
Schnitt
durch den Grabenbruch des Oberrheingrabens |
Blockbild
des Oberrheingrabens |
Geologische
Karte |
 |
 |
 |
 |
 |
Karte
hier

Kartenlegende

|
| |
|
|
|
|
|
| 31 |
32 |
33 |
34 |
35 |
36 |
| Höhenschichten,
Besonderheiten |
Höhenschichten
Detail Neustadt |
Höhenschichten
Detail Geinsheim |
Höhenschichten
Detail Hanhofen und Speyer |
Abflußbeiwerte |
Hochwasserganglinie |
 |
 |
 |
 |
 |
 |
| |
|
|
|
|
|
| 37 |
38 |
39 |
40 |
41 |
42 |
| Niederschlagsmengen |
Gewässergütekarte
1998 |
Gewässerstrukturgütekarte
1998 |
Gewässerstrukturgütekarte
1998, Detail |
Gewässerpflegeplan
1998, Teil 1 |
Gewässerpflegeplan
1998, Teil 7 |
 |
 |
 |
 |
 |
 |
| |
|
|
|
|
|
| 43 |
44 |
45 |
46 |
47 |
48 |
| Gewässerpflegeplan
1998, Teil 2 |
Gewässerpflegeplan
1998, Teil 3 |
Gewässerpflegeplan
1998, Teil 4 |
Gewässerpflegeplan
1998, Teil 5 |
Gewässerpflegeplan
1998, Teil 6 |
Schema
Speyerbachzuflüsse |
 |
 |
 |
 |
 |
 |